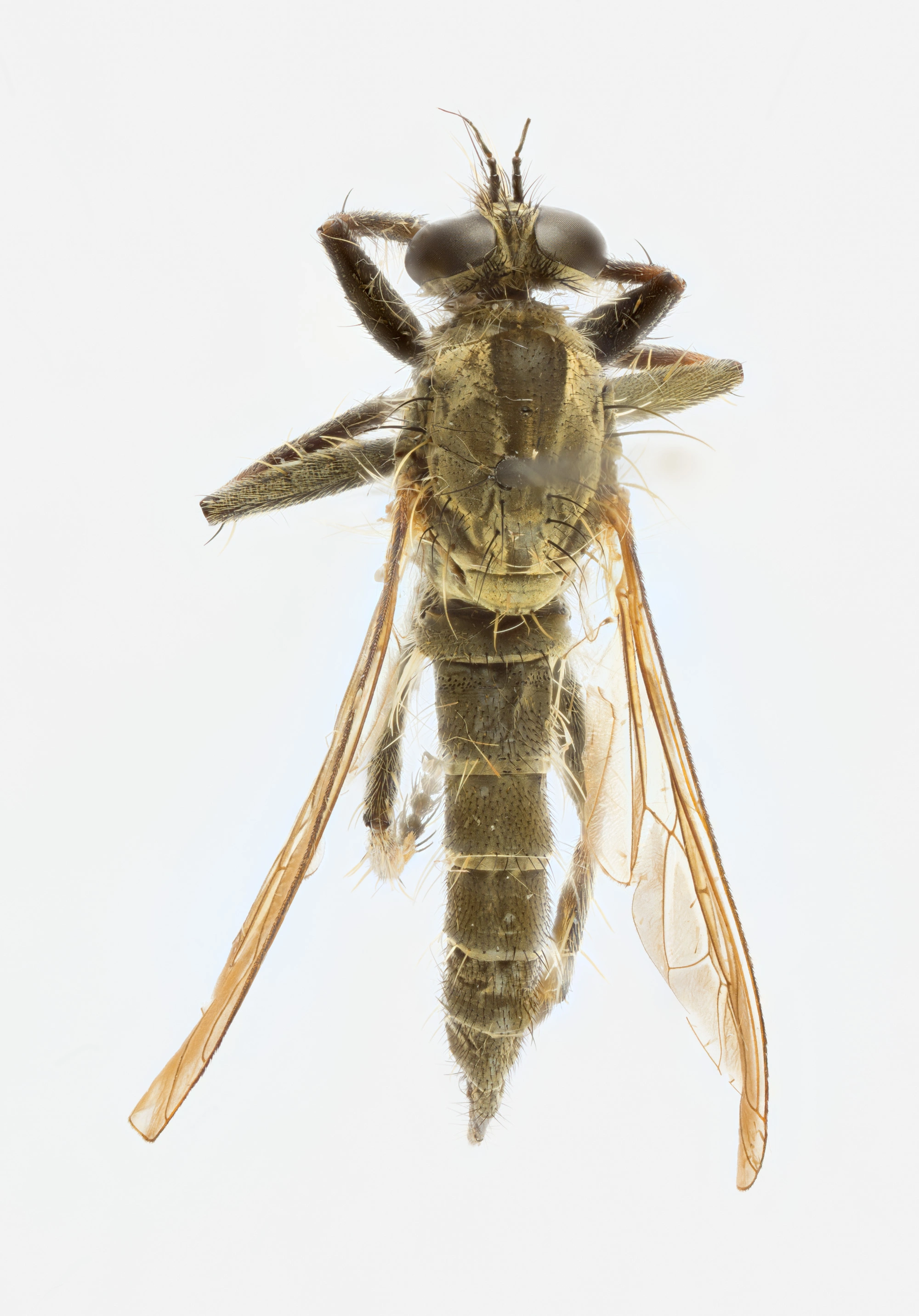
svartlårrovflue Machimus arthriticus
Klassifisering
-
- Dyreriket Animalia Rike
- Leddyr Arthropoda Rekke
- Insekter Insecta Klasse
- Tovinger Diptera Orden
- Rovfluer Asilidae Familie
- Skjeggrovfluer Machimus Slekt
- svartlårrovflue Machimus arthriticus Art
- Vitenskapelig navn
- Machimus arthriticus
-
Bokmål
- svartlårrovflue
-
Nynorsk
- svartlårrovfluge
-
Gå til navnetreet
Norsk rødliste for arter
Gjeldende kategori er livskraftig LC . Vurdert i 2021 for Fastlands-Norge med havområder.
Registrerte observasjoner
Prikkene markerer registrerte funn av arten/artsgruppen.